Wigmore Swallet

Notes on the survey
and some thoughts on further work

by Trevor Hughes

From:- Belfry Bulletin No 462, December 1991

INTRODUCTION: Digging at Wigmore has been a long, hard slog, thousands of man hours have been spent breaking rocks and hauling spoil. The Bosch drill has come of age and the digging team are now quite skilled in shothole placement. A superb draught throughout the duration of the dig held out great promise. Once the dig had well and truly 'gone' it was time to clear away skips, sacks and shovels and dust off the compass, 'clino' and Fibron tape.

THE SURVEY: The field data for the survey was collected on four separate trips, June - Sept '91, keeping pace with the rapid progress of discovery and exploration. A calibrated Sunto compass and clinometer and 30m. Fibron tape were used to collect data to BCRA grade 5d. Leapfrog compass readings were taken in the Marl section of the cave in case of any ore-body induced magnetic deviation but highly consistent readings and the confined nature of the dug passages meant that forward bearings only became the norm, a system I maintained throughout the larger conglomerate passages.

The 1991 survey was commenced on 5th June at the entry point of Christmas Crawl into Santa's Grotto, following hot on the heels of the initial breakthrough on 3rd June. A seven hour marathon session by Pete McNab (Snab), Chris Castle and the author surveyed to the deepest point available the temporarily blocked Hernia Pot and the large high level chamber discovered that day and named Drake's Hall in honour of Bob Drake (W.C.C.), a keen digger, whose tragic death had occurred twelve months previously. A provisional plot was available on 10th June having coupled the new work to Dave Irwin's survey of April 1978 (see BB No. 371 p.15/16) having metricised the earlier drawing (plotted originally at 1:120 horizontally and 1:75 vertically).

The next session on 28th July by Steve Redwood, Mark Simms (S.M.C.C.) and the author surveyed the narrow rifts and inlets below Hernia Pot. The deepest point available was the bottom of the cross-joint pot, so far only descended by J'Rat, at -73.2m. The survey stopped at the tight U-tube, now christened Butch's Arse in recognition of the names verbal gaff in the Hunter's one night about the likelihood of Wigmore ever 'going' as a dig.

The time consuming rift-widening beyond Butch's Arse continued until mid-August when the two superb pitches and streamway were discovered. The survey of this section as far as the first upstream sump was carried out by the author, Tony Jarratt, Rich Blake and Max Midlen on 9th Sept. The stream section was a delight to survey, 8-10m. survey legs being the norm, the passage width averaging 2m. and 1.5m. high in the silt floored phreatic tube of the Upper Yeo.

Work commitments prevented me from joining the fourth trip but the field work was ably completed by the boys from the black stuff, Vince Simmonds, Graham Johnson and Rich Blake on 15th Sept., when the upstream sumps I and II and the final streamway section to upstream sump III was surveyed. The two short sumps presented little problem if the air space survey stations were carefully positioned.

The Upper Yeo streamway is bounded upstream and downstream by sumps which will require some concerted effort to pass due to the atrocious visibility. Dany Bradshaw has penetrated the downstream sump for 35m. at approx. 3m. depth (but see the survey for the latest. Dany passed the sump to a short length of passage with a dry inlet on his very next dive - Ed) and Keith Savory has achieved 6m. of upstream progress at 4m. depth. The zero vis' conditions of these sumps means that producing an accurate survey through them will be somewhat difficult. Radio location is the obvious answer here: a fix at each end of the sump, established on the surface will enable co-ordinate differences to be plotted onto the master survey, coupled with a measured sump length to minimize error.

The master survey has been drawn up at 1:200 well filling the AO sheet. The plan fits well but the projected elevation of the streamway runs off the sheet and will be drawn displaced on the finished article.

FACTS, FIGURATION and FANTASY: Wigmore Swallet has a passage length of 474m. so far surveyed if the terminal sumps are included, of this 402m. has been entered for the first time in 1991. The deepest point of the cave, 93.5m. below the entrance shaft cap, is the bottom of the 3m. deep downstream sump pool. The drop in water level between upstream sump III and the downstream sump is only 1.25m. suggesting that in winter flow conditions a considerable proportion of the Upper Yeo may sump. The hydraulic gradient of this section is 1.09% compared with the 2.06% mean gradient of Tor Hole to Wigmore and 1.6% Wigmore to Cheddar Risings (These figures assume straight line flow and are indicative only).

The inlet downstream of upstream sump III is speculated to be seepage water from the slurry tank adjacent to the large cowshed but this cannot be confirmed, it does however smell somewhat foul. The source(s) of the main streamway need to be located by hydrographic tracing, possible sites being Red Quar Swallet, the adjacent His Lordship's Hole both taking water in mid-Sept. and, of course, Tor Hole.

There are other large depressions to the north of Stock Hill which should be investigated. A large depression to the south of Red Quar Swallet is dry in summer but may repay digging especially if "Tuska Tactics" are used to expose the underlying rock strata.

In the space of nine short months Wigmore has been transformed from a squalid dig into a big league cave a demanding trip with plenty to offer tight rifts and squeezes, superb airy pitches and climbs, spacious chambers, a large streamway and open ends. By my reckoning Wigmore is Mendips 13th deepest cave although this figure could be eclipsed when the Twin Titties Swallet survey appears.

With so much depth potential remaining (the downstream sump surface is 171.4m. A.O.D.) Wigmore could soon be in the top ten. If a connection to Gough's could be made a system with 265m. vertical range would result.

Perhaps it's time to get the shovels out again?

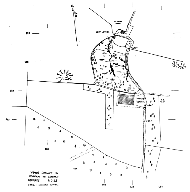
Wigmore Swallet in relation to surface features
Wigmore surface features

Page Created: 09-Dec-2009